綜合報導 / 台北市
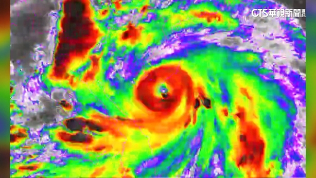
今年第13號颱風「劍魚」一路西奔穿越南海,昨(24)日已經增強為中度颱風。
氣象專家預估,劍魚颱風眼清晰可見,有機會挑戰強颱,將成為今年「西北太平洋風王」,目前路徑擦過中國海南,當地預估將出現有史以來最大風力,可能出現玻璃碎裂、門窗損毀的情況。預計劍魚將登陸越南,且強度還有加強空間,對台灣天氣無直接影響。
新聞來源:華視新聞
熱!大台北恐飆38度 苗栗以南山區局部大雨
日本高壓壟罩飆高溫 33都府縣發「中暑警報」
中颱 劍魚 颱風
華視新聞APP
CTS華視新聞
讀者迴響