今(14)日持續受東北季風影響,迎風面基隆北海岸、東北部地區及大臺北山區有局部短暫雨,桃園以北、花東地區及新竹以南山區雲多偶有零星降雨,中部地區清晨仍有零星降雨機率,整體水氣逐漸減少,白天新竹以南地區...
明(14)日持續受東北季風影響,不過水氣稍減少,迎風面桃園以北及東半部地區雲量較多偶有零星降雨,其中基隆北海岸、東北部地區及大臺北山區降雨機率仍偏高,外出請記得攜帶雨具備用,而其他地區則為多雲到晴、可...
今(13)日東北季風影響,且水氣偏多,迎風面桃園以北及宜蘭大致為陰雨的天氣,其中基隆北海岸及大臺北地區降雨較持續,有局部大雨發生,尤其基隆北海岸雨勢最明顯,局部可能有豪雨出現,外出請記得攜帶雨具備用,...
原「鳳凰」颱風減弱為熱帶性低氣壓,不過加上東北季風增強影響,中央氣象署今(13)日針對3縣市發布豪、大雨特報,基隆北海岸有局部大雨或豪雨,新北市地區(汐止區)及大台北山區有局部大雨發生的機率。原第26...
今(13)日受熱帶性低氣壓及東北季風增強影響,水氣仍偏多,特別在迎風面桃園以北為有雨的天氣,並有局部大雨,尤其在基隆北海岸、大臺北山區要防範局部豪雨,竹苗、東半部地區及恆春半島有局部短暫雨,應留意清晨...
今(12)日颱風強度逐漸減弱,在基隆北海岸、花東地區降雨較明顯一些,而其他地區亦有零星雨勢,風力仍偏強,尤其西半部沿海普遍有8至9級強陣風出現;氣溫方面,各地高溫約27到29度,早晚低溫為22至24度...
今(12)日颱風強度已明顯減弱,帶來的風雨也減少,白天在迎風面基隆北海岸、花東地區及南部有局部陣雨出現,其他地區也有零星雨勢,晚起隨著環境逐漸轉東北風,北部及宜蘭地區降雨增加,並有局部大雨發生的機率,...
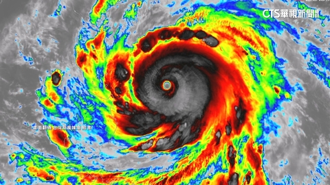
鳳凰颱風的暴風圈凌晨已碰觸恆春,但強度持續減弱當中。前氣象局長鄭明典分析,鳳凰颱風目前已經不再是颱風的「圓形」,而是[狹長]的,而且高低層明顯分離,代表鳳凰持續減弱當中。氣象署也表示,鳳凰是否登陸已變...
今(11)日東北季風及颱風外圍環流影響,桃園以北、東半部地區及恆溫半島降雨時間較長,並有局部大雨或豪雨發生,其中宜蘭地區已出現局部大豪雨或超大豪雨,其他地區也有局部或零星降雨;北部及東半部地區高溫約2...
颱風「鳳凰」逼近,氣象專家吳德榮指出,今(11)日「鳳凰」外圍環流受地形抬升,迎風面北部山區及東半部應防大量降雨致災;13日鳳凰持續減弱遠離,北部仍有局部雨勢,其他地區好轉。另外,提醒17日入秋後最強...
明(11)日東北季風及颱風外圍環流,有機會出現共伴效應,使雨勢有更加明顯的趨勢,迎風面基隆北海岸、大台北、東半部地區及恆春半島有陣雨,有大雨或豪雨出現,尤其東半部地區雨勢明顯且持續,有局部豪雨等級以上...
今(10)日除了東北季風影響外,開始有颱風外圍的水氣移入,迎風面基隆北海岸、大臺北、東半部地區及恆春半島降雨機率高,雨勢愈晚愈明顯,可能有大雨或豪雨出現,尤其大臺北地區及宜花雨勢明顯且持續,有局部豪雨...
鳳凰颱風即將侵襲台灣,為了保護心血結晶,嘉義縣的柿子農一大早就在果園裡忙進忙出,採收最後一批成熟的柿子;屏東的農民也馬不停蹄的將蓮霧套上袋子,希望能夠為脆弱的果實,抵擋一些風雨。農民憂心忡忡,民眾也關...
今(10)日除了東北季風影響外,開始有颱風外圍的水氣移入,迎風面基隆北海岸、大臺北、東半部地區及恆春半島降雨機率高,雨勢愈晚愈明顯,可能有大雨或豪雨出現,尤其大臺北地區及宜花雨勢明顯且持續,有局部豪雨...
颱風「鳳凰」已通過呂宋島陸地,逐漸逼近台灣。對此,氣象專家林得恩提醒,今(10)日受颱風外圍環流及東北季風影響,4地區降雨機率增高,雨勢愈晚愈明顯,尤其在大台北地區及宜花地區雨勢集中、持續且顯著,更有...
受「鳳凰」颱風外圍環流及東北季風影響,明(10)日起基隆北海岸、大台北、東半部地區及恆春半島有大雨或豪雨發生的機率,尤其東北部、東部及大台北地區有局部豪雨等級以上發生的機率,其他地區亦有局部短暫陣雨;...
「鳳凰」颱風預計在今(9)日晚間增強為強烈颱風,並登陸菲律賓呂宋島,屆時將帶來狂風暴雨。不過在「鳳凰」登陸前,菲律賓東部地區在今天下午已經出現大風大雨,部分地區水淹及膝,還有民宅被沖毀。菲律賓政府宣布...
接著馬上帶您來關心鳳凰颱風最新路徑,現在各國對於他接下來走的路線沒有太大的分歧,主要差別是在他北轉的角度,關鍵時間點主要就是在明天通過呂宋島、進入南海之後,他就會開始北轉,朝著台灣的方向前進。所以目前...
說到這個鳳凰颱風,它走的路徑其實並不常見!目前氣象署觀測,桃園以南都有可能會是它登陸的地方。有專家就提醒,這樣甩尾路徑,類似20年前的南瑪都颱風,當時這個颱風,是從屏東登陸、台東出海,雖然時間並不長,...
今(9)日各地大多為多雲到晴的天氣,只有迎風面基隆北海岸、大臺北山區、東半部地區及恆春半島偶有零星短暫雨,下午起東北季風增強,基隆北海岸、東北部地區及大臺北地區轉為局部短暫陣雨;中南部高溫可達30至3...
鳳凰颱風在今(8)日清晨2點增強為中度颱風,而且在傍晚時,颱風眼已經打開,強度持續增加中,氣象署預估下週三晚間可能從中南部登陸,預計下週一跟週二會陸續發布海警跟陸警;不過,氣象專家林得恩分析,鳳凰在接...
鳳凰颱風在今(8)日清晨兩點,增強為中度颱風,氣象署預估週三晚間至週四清晨可能從中部登陸,預計下週一、週二會陸續發布海警報和陸警。不過,氣象專家林得恩分析,鳳凰在接近台灣陸地前後,就會受到地形破壞以及...
今(8)日各地大多為晴到多雲的天氣,只有迎風面基隆北海岸、大臺北山區、東半部地區及恆春半島偶有零星短暫雨,午後中南部山區也有零星降雨機率;西半部高溫可達30至33度,溫暖微熱,東半部則是28至30度,...
今(8)日各地大多為晴到多雲的天氣,只有迎風面基隆北海岸、大臺北山區、東半部地區及恆春半島偶有零星短暫雨,午後中南部山區也有零星降雨機率;西半部高溫可達30至33度,溫暖微熱,東半部則是28至30度,...
明(8)日各地大多為晴到多雲的天氣,只有迎風面基隆北海岸、大臺北山區、東半部地區及恆春半島偶有零星短暫雨,午後中南部山區也有零星降雨機率;西半部高溫可達30至33度,溫暖微熱,東半部則是28至30度,...
今年第26號颱風鳳凰,預估最快7日晚上,就會發展成中颱,且它的暴風半徑持續擴大,可能達到300公里以上。氣象署表示,下週一起,北部、東半部雨勢就會變得明顯,而且可能發布海上警報。氣象專家也說,11月還...
今(7)日各地大多為晴到多雲的天氣,迎風面基隆北海岸、大臺北山區、東半部地區及恆春半島偶有零星短暫雨,午後中南部山區也有零星降雨機率;西半部高溫可達28至33度,溫暖微熱,東半部則是25至27度,中午...
輕度颱風「鳳凰」預計在下週一開始影響台灣,且根據預測路徑來看,「鳳凰」將北轉朝台灣靠近,下週二開始全台都可能出現局部大雨。另外,氣象粉專提醒,鳳凰颱風的強度預計將繼續增強,將成為中度颱風外,預估巔峰強...
今(7)日各地大多為晴到多雲的天氣,迎風面基隆北海岸、大臺北山區、東半部地區及恆春半島偶有零星短暫雨,午後中南部山區也有零星降雨機率;西半部高溫可達28至33度,溫暖微熱,東半部則是25至27度,中午...
今(6)日東北季風減弱,水氣減少,僅大臺北山區及東半部地區雲量較多,偶有零星降雨,而西半部晴朗暖熱,高溫普遍可來到30度左右,南部則可以來到32、33度,而東半部高溫約26至28度,白天感受溫暖且紫外...
普發1萬直接入帳網路分流登記昨(5)日開跑,而普發1萬的話題也再次於網路中引發熱議,有一名國二生發文指出,原本想買平板來電繪,但媽媽以「普發是從他們的稅收拿來發的」而拒絕,並拿了50塊給他。貼文曝光後...
今(6)日東北季風減弱,水氣減少,僅大臺北山區及東半部地區雲量較多,偶有零星降雨,而西半部晴朗暖熱,高溫普遍可來到30度左右,南部則可以來到32、33度,而東半部高溫約26至28度,白天感受溫暖且紫外...
鳳凰颱風在今(6)日凌晨生成,雖然現在距離台灣還有2千多公里,不過目前氣象署認為,鳳凰在通過呂宋島、向北轉之後,不排除有侵襲台灣的可能性,一旦它直撲而來,有可能挑戰57年來第一個在11月登陸的颱風!當...
颱風「鳳凰」已於今(6)日凌晨2點生成,氣象專家林得恩就提醒是「又強、又大的怪物!」目前各國數值模式模擬認為,颱風中心將先通過菲島北部陸地再北轉,隨後沿著台灣海峽,非常靠近台灣陸地繼續北上或直接登陸侵...
今(6)日東北季風減弱,水氣減少,迎風面降雨區域縮小,只有在大臺北地區及宜花有局部降雨機率,臺東及恆春半島有零星短暫雨,桃園以南多為晴到多雲的天氣;氣溫方面,北部及宜蘭高溫回升至27、28度,而中南部...
明(5)日仍受東北季風影響,迎風面北部、東北部及東部有局部短暫雨,其中基隆北海岸、大台北山區及宜蘭地區白天以前降雨機率仍高,雨勢也較持續,至於東南部地區及恆春半島也有零星降雨,而中南部則為多雲到晴,午...
又有颱風要襲台了嗎?中央氣象署觀測,目前熱帶性低氣壓TD29,最快在今天就會增強為鳳凰颱風,而且這個準颱風,看起來有可能會逼近我們而來,關鍵就在於北轉的角度與時間點,假設高壓減弱得快,颱風可能會通過東...
今(5)日仍受東北季風影響,不過水氣逐漸減少,迎風面大臺北及宜蘭地區雲多偶有短暫降雨,尤其基隆北海岸降雨較持續,而桃園、花東及恆春半島亦有零星降雨機率,外出建議仍要攜帶雨具備用,對於中南部地區則為晴到...
明(5)日仍受東北季風影響,不過水氣減少,迎風面北部、東半部及恆春半島大致為多雲時陰偶有零星降雨,其中基隆北海岸、大臺北山區及宜蘭地區降雨機率高,雨勢較為持續,外出請記得攜帶雨具備用,而其他地區則為多...
天氣逐漸變冷,不過颱風還是蠢蠢欲動,位在關島附近的熱帶擾動,今(4)日凌晨生成為熱帶性低氣壓TD29,未來不排除增強為颱風,而且可能往台灣的方向前進。不過這段時間,高壓強度的變化是一大關鍵,因為將影響...
今(4)日東北季風加上華南雲系影響,迎風面水氣多,桃園以北及宜花為陰天偶飄雨的天氣,尤其基隆北海岸、大臺北山區及宜蘭地區降雨較明顯,局部有較大雨勢發生的機率,而其他地區大致為多雲可見陽光,白天感受舒適...
根據氣象署最新資料顯示,位在關島附近海面生成的熱帶性低氣壓TD29,恐有發展成颱的趨勢。對此,氣象專家林得恩也提醒,TD29的低層環流正在增強,初步評估成颱機會高,且可能在中颱至強颱等級之間,更有路徑...
今(4)日天氣跟昨天類似,受東北季風加上華南雲系移入,水氣偏多,基隆北海岸、大臺北山區及宜蘭地區降雨較為持續,並有局部較大雨勢發生的機率,大臺北平地下雨的範圍也較廣,而桃竹苗、花蓮地區及中部山區則有局...
明(4)日天氣跟今天類似,受東北季風加上華南雲系移入,水氣偏多,基隆北海岸、大台北山區及宜蘭地區降雨較為持續,並有局部較大雨勢發生的機率,大台北平地下雨的範圍也較廣,而桃竹苗、花蓮地區及中部山區則有局...
今(3)日受東北季風影響,加上華南雲系移入,水氣偏多,基隆北海岸、大臺北山區及宜蘭地區降雨較為持續,並有局部大雨發生的機率,大臺北平地下雨的範圍也較廣,而桃竹苗、花蓮地區及中部山區則有局部短暫雨,中部...
今(3)日受東北季風影響,加上華南雲系移入,水氣偏多,基隆北海岸、大臺北山區及宜蘭地區降雨較為持續,並有局部較大雨勢發生的機率,大臺北平地下雨的範圍較廣,且有短暫雨,而桃竹苗、花蓮地區及中部山區則有局...
今天的氣象小叮嚀要提醒您,透過風場預報圖可以看到今天東北季風一路南下,台灣也受到影響,氣溫明顯比較涼、溫度也比較低;北部低溫來到20度,高溫也僅23度;東部花蓮地區21到24度;中部、南部雖然高溫可以...
今(2)日東北季風影響,迎風面的基隆北海岸、大臺北、東北部及東部地區有局部短暫雨,桃竹苗地區、中部以北山區、東南部地區、恆春半島有零星短暫雨,其他地區為多雲到晴,午後南部山區有零星短暫陣雨;氣溫方面,...
今(1)日東北季風影響,迎風面基隆北海岸、大臺北山區、宜花地區有局部短暫雨,中部以北山區、大臺北、臺東地區及恆春半島有零星短暫雨,桃園以南地區為多雲到晴,午後南部山區有零星短暫陣雨,此外,今晚至明晨北...
美國政府已關門31天了,將打破2018年跟2019年關門35天的紀錄。140萬名聯邦政府員工被迫休「無薪假」或是做白工,就算上班了也沒薪水可領,沒錢買食物,全靠食物銀行救濟。漣漪效應擴散到一般店家和民...
今(1)日東北季風影響,迎風面基隆北海岸、大臺北山區、宜花地區有局部短暫雨,北部山區、大臺北、臺東地區及恆春半島有零星短暫雨,桃園以南地區為多雲到晴,午後中南部山區有零星短暫陣雨;溫度方面,北臺灣整天...
今(31)日鋒面通過及東北季風增強,迎風面基隆北海岸、北部山區、東半部地區及恆春半島有局部短暫雨,北部地區亦有零星短暫雨,中南部為多雲到晴,午後屏東地區及南部山區有局部短暫陣雨;溫度方面,北臺灣整天氣...
今(31)日鋒面通過及東北季風增強,迎風面基隆北海岸、大臺北山區、東半部地區及恆春半島有局部短暫雨,桃園以北地區及竹苗山區有零星短暫雨,其他地區為多雲到晴,午後中南部山區有零星短暫陣雨;北臺灣及宜蘭溫...
今(31)日鋒面通過及東北季風增強,清晨苗栗以北有局部短暫陣雨,花東地區也有零星降雨,其他地區為多雲到晴,白天起鋒面遠離,降雨轉為以迎風面為主,基隆北海岸、大臺北山區、東半部地區及恆春半島有局部短暫雨...
今天晚上至明(31)日鋒面通過及東北季風增強,今天晚上至明天清晨基隆北海岸及北部地區有局部短暫陣雨,花東地區亦有零星短暫陣雨,其他地區為多雲到晴,明天白天起基隆北海岸、大臺北山區、東半部地區及恆春半島...
今(30)日白天東北季風減弱,風場轉為偏東風;華南雲系東移,基隆北海岸有局部短暫雨,中部以北山區、東北部及東部地區也有零星降雨,其他地區雲量稍增加,午後高屏地區及其他山區有零星短暫陣雨,晚上隨著鋒面通...
今(30)日華南雲系東移,基隆北海岸有局部短暫雨,中部以北、東北部及東部地區也有零星降雨,其他地區為多雲到晴,午後高屏地區及其他山區有零星短暫陣雨,晚上東北季風開始增強,北部及東北部仍有機會下雨,其他...
明(30)日東北季風減弱,各地大多為多雲到晴的天氣,僅基隆北海岸、大台北山區及宜花地區有零星小雨,午後高屏地區及其他山區有零星短暫陣雨,入夜後東北季風再度增強,北部、東半部地區及恆春半島降雨機率增加,...
今(29)日仍然受東北季風影響,迎風面的基隆北海岸、宜蘭地區及大台北山區還是會下雨,尤其宜蘭地區有局部大雨,不過整體來說降雨趨緩了,從雨區預報來看,降雨的部分還是比較集中在宜蘭地區,另外基隆北海岸,中...
今(29)日受東北季風影響,迎風面的基隆北海岸、宜蘭地區及大臺北山區下雨時間較長,宜蘭地區有局部大雨,基隆北海岸及大臺北山區也有局部較大雨勢發生的機率,桃園以北、花、東地區、恆春半島及竹、苗山區降雨則...
今(28)日受東北季風及華南雲系東移影響,桃園以北及宜蘭下雨時間長,屬於有陣雨的天氣,其中基隆北海岸、大臺北山區及宜蘭地區有局部大雨或豪雨發生的機率,新竹至嘉義及花蓮也有短暫陣雨,臺南、臺東地區、恆春...
今(28)日受東北季風及華南雲系東移影響,桃園以北及宜蘭下雨時間長,屬於有陣雨的天氣,其中基隆北海岸、大臺北山區及宜蘭地區有局部大雨或豪雨發生的機率,新竹至嘉義及花蓮也有短暫陣雨,臺南、臺東地區、恆春...
今(28)日受東北季風及華南雲系東移影響,桃園以北及東北部地區為有雨的天氣,其中基隆北海岸、大臺北山區及東北部地區有局部大雨或豪雨發生的機率,中部以北及東部地區有短暫雨,臺南、東南部地區、恆春半島及高...
今晚起至明(28)日受東北季風及華南雲系東移影響,桃園以北及東北部地區為有雨的天氣,其中基隆北海岸、大台北山區及東北部地區有局部大雨或豪雨發生的機率,中部以北及東部地區有短暫雨,台南、東南部地區、恆春...
今、明兩天東北季風影響,今日白天基隆北海岸及台灣東北部、大台北山區有雨,有局部大雨發生的機率、桃園地區、東半部地區及恆春半島有局部短暫雨,今天桃園以北、東半部地區降雨仍然偏高、中南部山區午後偶爾有短暫...
今(27)日受東北季風影響,特別注意基隆北海岸、大台北山區、宜蘭等地雨勢越晚越大,氣象專家林得恩則提醒,本週雙北、基隆及宜蘭地區都是降雨熱區,強度介於大雨至豪雨之間。至於雨勢何時趨緩?氣象署預估,30...
今(27)日東北季風影響,桃園以北及東半部地區有局部短暫雨,其中基隆北海岸、大臺北山區、宜蘭地區越晚雨勢越大,其他地區為多雲的天氣,午後中南部山區有局部短暫陣雨;氣溫方面,北部及宜蘭感受濕涼,整天氣溫...
今天一起到台東看看多良車站,陽光普照天氣穩定,這海看起來真的很療癒,不過北部的觀眾朋友應該都很有感,這幾天濕濕冷冷,覺得快發霉了!想問什麼時候會有像這樣的好天氣?不過恐怕還要再等等,未來一週降雨趨勢預...
北東地區已經下了一個禮拜的雨,這幾天連假一樣也是雨一陣一陣的,今天連假最後一天,可以看到台北雲層還是很厚,雖然雨勢不會太大,但還是濕濕涼涼的。其實在昨天,東北季風有稍稍減弱,只是整體環境水氣還是偏多,...
10月25日星期六象山看台北101這邊也是霧濛濛一片,北部氣溫也是比較涼的。各地溫度,22到28度,中南部溫暖一些,高溫有31到32度,連假出遊也比較有機會看到陽光。而未來的降雨趨勢,今天東北季風減弱...
一起來關心連假第二天的天氣,要出門玩的觀眾朋友,特別注意囉。透過淡水漁人碼頭的即時影像,您可以看到雨還是在下,天空灰濛濛的、鏡頭也都有雨滴。雖然今天東北季風稍微減弱,但是水氣還是偏多。尤其北部和東半部...
明(25)日東北季風稍減弱,但水氣仍偏多,基隆北海岸、大臺北、宜蘭地區下雨時間仍較長,有局部大雨發生的機率,桃竹苗、花東及恆春半島也有短暫陣雨,南部地區及中部山區則有局部短暫陣雨,其他地區為多雲;連日...
今(24)日東北季風影響,從雷達迴波圖,還是可以看到迎風面,今天還是有雨勢,大台北地區,有陣雨或是局部豪雨發生的機率,東半部地區同樣也有陣雨或是局部大雨。中南部平地為多雲;連日降雨,山區嚴防坍方、落石...
今(24)日東北季風影響,迎風面水氣偏多,宜蘭地區、大臺北地區有陣雨,並有局部大雨或豪雨發生的機率,桃園及花蓮地區有短暫陣雨,並有局部大雨發生的機率,竹苗、臺東地區及中南部山區有局部短暫陣雨,其他地區...
明(24)日東北季風影響,迎風面水氣偏多,宜蘭地區、大台北地區有陣雨,並有局部大雨或豪雨發生的機率,桃園及花蓮地區有短暫陣雨,並有局部大雨發生的機率,竹苗、台東地區及中南部山區有局部短暫陣雨,其他地區...
北台灣近日豪雨連連,新北汐止在短短兩天內,接連發生三起坍方意外。其中包含永春一路的老人安養中心,行政大樓後方邊坡坍方,將下方滯洪池滿是淤泥,還讓造成治水站毀損。另外,在不遠處的長青路210巷的「老爺山...
今(23)日下午暴雨狂襲桃園,不只之前曾淹水的五福三街與新生路口,馬路再度淹成飄飄河,深度達到成人小腿肚,就連大園區的環區北路也因排水不及,整條道路全被積水覆蓋。滾黃泥流淹沒整條道路,路面標線在泥河掩...
今(23)日東北季風影響,水氣偏多,基隆北海岸、宜蘭地區、大臺北山區及近山區有雨,並有局部豪雨發生的機率,桃園以北及花蓮地區有短暫陣雨,花蓮地區並有局部大雨發生的機率,竹苗、臺東地區及中南部山區有局部...
今(23)日東北季風影響,水氣偏多,基隆北海岸、宜蘭地區、大臺北山區及近山區有雨,並有局部豪雨發生的機率,桃園以北及花蓮地區有短暫陣雨,並有局部大雨發生的機率,竹苗、臺東地區及中南部山區有局部短暫陣雨...
明(23)日東北季風影響,水氣偏多,基隆北海岸、宜蘭地區及新竹以北山區有明顯陣雨,並有局部豪雨發生的機率,桃園以北及花蓮地區有短暫陣雨,並有局部大雨發生的機率,竹苗、臺東地區及中南部山區有局部短暫陣雨...
連日強降雨,陽明山出現土石流,有民眾目擊一輛小貨車被泥流推著走,甚至後方的樹木都被連根拔起,趕緊後退逃命;今天截至傍晚五點,陽明山日累積雨量突破了350毫米,相當驚人。目前這個路段已經封鎖,大型機具也...
受颱風外圍環流及東北季風共伴效應影響,雲林沿海一帶吹出11級強風,在西螺大橋周圍因為吹強風,出現嚴重揚塵,影響到當地空氣品質。進到西螺鎮上,不論是路邊停的汽車、住宅門框或是小吃店的桌子,都積了一層厚厚...
今(22)日受東北季風及位於臺灣東方海面的低氣壓影響,桃園以北及宜蘭整天都有陣雨或雷雨,雨勢明顯有局部大雨或豪雨發生的機率,尤其基隆北海岸、雙北山區及宜蘭地區應防範長時間強降雨,易有局部豪雨等級以上降...
馬太鞍溪昨(21)日又形成新的堰塞湖,林保署警示將在24小時內溢流,昨日晚間9點半馬太鞍溪水明顯高漲,滾滾泥流,不斷沖刷,一度淹過馬太鞍溪便橋!怕人車通過發生危險,警方從昨晚7點半開始,預防性封閉便橋...
受到強風影響,台東縣蘭嶼鄉昨(21)日下午發生工安意外,工人遭瞬間強風吹倒,而且鋼筋貫穿背部,所幸緊急送醫後生命徵象穩定,而在澎湖,晚間快7點也發布了強風警報,馬公市區不只有路牌斷裂,還有整片招牌倒下...
今(22)日北部地區持續降下大雨,中央氣象署上午針對台北市山區、新北市山區(汐止五指山、東山)發布超大豪雨特報,基隆北海岸、台北市及宜蘭縣則有局部豪雨或大豪雨。前氣象局長鄭明典指出,台灣東北部外海有一...
今(22)日受東北季風及位於臺灣東方海面的低氣壓影響,桃園以北及宜蘭整天都有陣雨或雷雨,雨勢明顯有局部大雨或豪雨發生的機率,尤其基隆北海岸、雙北山區及宜蘭地區應防範長時間強降雨,易有局部豪雨等級以上降...
昨(21)日氣象署針對基隆北海岸、新北市東側平地、大台北山區及宜蘭山區發布易有局部豪雨,同時也針對全台18縣市發布陸上強風特報。不過有網友發現,昨日晚上6點53分國家級警報大響,訊息內容為「所在地沿海...
明(22)日東北季風及低氣壓影響,桃園以北及宜蘭整天都有陣雨或雷雨,雨勢明顯有局部大雨或豪雨發生的機率,尤其基隆北海岸、新北市東側平地、大臺北山區及宜蘭山區應防範長時間強降雨,易有局部豪雨等級以上降雨...
今(21)日東北季風及低氣壓影響,新竹以北及宜蘭整天都有陣雨,雨勢明顯有局部大雨或豪雨發生的機率,尤其基隆北海岸、新北市東側平地、大臺北山區及宜蘭山區應防範長時間強降雨,易有局部豪雨等級以上降雨發生,...
今(21)日仍受東北季風及颱風外圍環流共伴效應影響,新竹以北及宜蘭整天都有明顯雨勢,尤其基隆北海岸、新北市東側平地、大台北及宜蘭山區等地嚴防長時間強降雨,易有局部豪雨等級以上情況。氣象專家林得恩則指出...
明(21)日天氣與今天類似,東北季風及颱風外圍環流共伴效應影響,新竹以北及宜蘭整日有陣雨出現,且雨勢明顯,有局部大雨或豪雨發生的機率,尤其大台北、基隆北海岸及宜蘭易有持續性強降雨出現,可能有豪雨等級以...
北部地區降下豪大雨,位於新北市八里區的台北港,今(20)日在北邊堤防「填海造陸」的填土區,雨水加上海水灌進來,又受到超過6米的巨浪影響,整個施工區發生嚴重積水,不少大卡車駕駛冒險開在滾滾泥水裡,港務公...
受到風神颱風的外圍環流,以及東北季風共伴效應影響,整個北台灣從昨(19)日晚上開始,就遭受暴雨轟炸,今(20)日早上桃園市沿海地區,多處傳出積淹水災情。大園區和觀音區,路面淹水達到成年人的膝蓋高度,讓...
風神颱風即便沒有達到海警標準,然而東北季風加上颱風外圍的共伴效應,使得風雨十分猛烈,連氣象專家都說,部分地區已達停班停課標準;今(20)日的北北基桃在沒有放假的情況之下,許多大專院校傳出災情,有淡江大...
受東北季風及「風神」颱風外圍環流影響,北部及東北部今(20)日降下豪雨,中央氣象署提醒,預計今日到明(21)日雨勢最大,大臺北、基隆、宜蘭為降雨最顯著區,須留意豪雨等級以上降雨。而根據氣象署最新雨量預...
今(20)日受東北季風及颱風外圍環流雙重影響,桃園以北、宜蘭及竹苗山區整日持續有陣雨出現,且雨勢明顯,有局部大雨或豪雨發生的機率,目前臺北及新北已有局部大豪雨出現,今日在基隆北海岸及宜蘭仍可能有局部豪...
受東北季風及「風神」颱風外圍環流影響,今(20)日北部一早下起大雨,也陸續傳出淹水災情。氣象粉專也指出,共伴效應發威「交會帶就在北海岸這一帶」,而中央氣象署上午針對台北市及新北市發布大豪雨特報,基隆、...
今(20)日受東北季風及颱風「風神」外圍環流雙重影響,桃園以北、東北部、東部地區及北部山區有陣雨或雷雨,並有局部大雨或豪雨機率。對此,氣象專家林得恩也提醒「共伴效應,今、明2日最為顯著」,今日要特別留...
今(20)日受東北季風及風神颱風外圍環流雙重影響,桃園以北、東北部、東部地區及北部山區有陣雨或雷雨,並有局部大雨或豪雨發生的機率,今日凌晨大臺北及桃園地區已出現顯著降雨,尤其新北出現最大3小時182毫...
「風神」颱風的外圍環流,已經開始影響台灣的天氣,加上東北季風共伴效應,可能會帶來大量降雨。今(19)日上午新北市的汐止,一度積淹水就讓民眾感受到這波威力。而在台北市的寶可夢夜市祭,就怕風雨來臨,主辦單...
今(19)日東北季風及颱風外圍環流影響,迎風面雨勢漸增,降雨範圍亦逐漸擴大,桃園以北、東半部地區及恆春半島有短暫陣雨或雷雨,並有局部大雨發生的機率,基隆北海岸、大臺北山區及東北部地區雨勢持續,並有局部...
今(19)日東北季風及颱風外圍環流影響,迎風面雨勢漸增,降雨範圍亦逐漸擴大,基隆北海岸、大臺北山區及東北部地區有陣雨或雷雨,並有局部大雨或豪雨發生的機率,桃園以北、花東地區及恆春半島有短暫陣雨或雷雨,...
今晚起東北季風增強,北部及東北部地區氣溫稍下降,基隆北海岸、東北部地區及大臺北山區有短暫陣雨,並有局部大雨發生的機率,花、東、恆春半島及大臺北地區有局部短暫陣雨,其他地區為多雲到晴;明(19)日東北季...
今(18)日環境風場為偏東到東北風,白天基隆北海岸及臺灣東北部地區有局部短暫陣雨,花、東、恆春半島、大臺北山區及馬祖有零星短暫陣雨,其他地區為多雲到晴,午後嘉義以南地區及其他山區有零星短暫雷陣雨,今晚...
今(18)日環境風場為偏東到東北風,基隆北海岸、宜蘭地區、大臺北山區及恆春半島有局部短暫陣雨,花東地區及大臺北平地也有零星降雨,其他地區為多雲到晴,午後嘉義以南地區及其他山區有零星短暫雷陣雨,晚上開始...
明(18)日 白天基隆北海岸、宜蘭地區、大臺北山區及恆春半島有局部短暫陣雨,花、東及大臺北地區有零星短暫陣雨,其他地區為多雲到晴,午後嘉義以南地區及其他山區有零星短暫雷陣雨;明晚起東北季風增強,雨勢漸...
風神颱風最快明生成週日共伴效應「雨轟4天」。熱帶低壓生成!估週末成風神颱風北東防豪雨,颱風共伴低壓帶接力影響週日起雨恐下7天,降雨時間恐達一週7天雨量「恐不輸給輕颱」,北、東北、東部降雨熱區下週二到四...
今年第24號颱風「風神」即將形成,雖然以目前路徑預報來看,「風神」侵襲台灣機率低,但從19日開始到22日,颱風外圍暖溼氣流與東北季風在台灣東側、東北側交會產生共伴效應,北部、東部、恆春、南屏東因容易下...
今(17)日環境仍為偏東風,迎風面基隆北海岸、大臺北山區、宜蘭及恆春半島不定時有局部短暫陣雨,花東及大臺北地區亦有零星降雨機率,而其他地區仍為晴到多雲、高溫炎熱,午後僅高屏地區及其他山區有零星短暫雷陣...
明(17)日環境仍為偏東風,迎風面基隆北海岸、大臺北山區、宜蘭及恆春半島不定時有局部短暫陣雨,花東及大臺北地區亦有零星降雨機率,而其他地區仍為晴到多雲、高溫炎熱,午後僅高屏地區及其他山區有零星短暫雷陣...
今(16)日環境仍為偏東風,宜蘭及恆春半島偶有零星短暫陣雨,晚起迎風面水氣略為增多,基隆北海岸、大臺北山區及臺東也有短暫陣雨的機率,而其他地區為晴到多雲,午後高屏地區及其他山區有零星短暫雷陣雨;氣溫方...
明(16)日偏東風帶來的水氣增加,迎風面的基隆北海岸、大台北山區及宜蘭地區有局部短暫陣雨,花東、大台北地區及恆春半島有零星短暫陣雨,其他地區為多雲到晴,中午過後高屏地區及其他山區有零星短暫雷陣雨;氣溫...
高雄美濃昨(14)日有民眾在田裡看到龍捲風,覺得很壯觀新奇,馬上拍下來,不少當地人都說有看到,在荖濃溪附近施作工程的工作人員,更是在搖滾區,對此,氣象站解釋,是因為昨日午後熱對流明顯,旺盛的熱對流發展...
花蓮光復地區的救災還沒有告一段落,現在當地居民還要面對準颱風「風神」可能帶來的影響。今(15)日下午中央偕同地方召開防颱會議,共同研擬因應策略,會後中央的總協調官季連成表示,因為村里長大多想要垂直避難...
今天10月15日星期三,西半部北到南,高溫大約34、35度,東部、馬祖,高溫31度,金門26至33度。位於關島附近的低壓,但目前路徑變數還比較大,正在密切觀察是否會朝著台灣接近。颱風可能會跟東北季風交...
在關島附近的熱帶系統,最快週五就會增強為「風神颱風」。大家最關心的路徑,美國模式預估颱風會經過巴士海峽,甚至有侵台機會,而歐洲模式則往南調整,可能會從菲律賓群島北部通過,但實際路線還得持續觀察。不過颱...
熱帶擾動96W目前位在關島附近,未來可能增強為今年第24號颱風「風神」,且會在週末靠近台灣。中央災害應變中心表示,未來2至3天隨熱帶系統逐漸發展,東部19及20日恐有大雨或局部豪雨發生,考量花蓮災情尚...
今(15)日各地大多為多雲到晴的天氣,僅基隆北海岸、恆春半島有零星短暫陣雨,清晨東半部地區有零星短暫陣雨,中午過後嘉義以南地區及各地山區有局部短暫雷陣雨;氣溫方面,東半部高溫約31、32度,西半部高溫...
明(15)日各地大多為多雲到晴的天氣,僅基隆北海岸、恆春半島有零星短暫陣雨,中午過後嘉義以南、花東地區及各地山區有局部短暫雷陣雨,其中在花東、高屏地區及其他山區有局部大雨發生的機率;氣溫方面,東半部高...
今(14)日各地大多為多雲到晴的天氣,僅基隆北海岸、恆春半島有零星短暫陣雨,中午過後嘉義以南、花東地區及各地山區有局部短暫雷陣雨,其中在花東、高屏地區及其他山區有局部大雨發生的機率;氣溫方面,東半部高...
「風神」呼之欲出!氣象專家林得恩指出,位於關島南方海域的熱帶擾動96W持續發展,成颱機率高達7成以上;吳德榮則透露,第一波帶冷空氣的「東北季風」預計18日南下,19、20日各地氣溫降,北、東明顯降雨,...
明(14)日各地大多為多雲到晴的天氣,花東地區及恆春半島有局部短暫陣雨,中午過後嘉義以南地區及各地山區有局部短暫雷陣雨,其中花蓮地區有較大雨勢發生的機率;氣溫方面,東半部高溫約31、32度,西半部高溫...
這個星期的天氣都是非常穩定,高溫炎熱的天氣,只有東半部、恆春半島偶有零星雨,要留意午後山區及嘉義以南地區有局部雷陣雨,另外,高溫炎熱、紫外線強、多補水防曬,要注意天氣變化。...
今(13)日各地晴朗炎熱,北台最高溫可達38度,注意防曬、防中暑,午後山區偶有局部短暫降雨機率。氣象專家吳德榮則透露,最新各國模擬顯示,第一波帶有冷空氣的「東北季風」,大致19日起南下,迎風轉雨、氣溫...
今(12)日各地大多為多雲到晴的天氣,東半部地區及恆春半島有零星短暫陣雨,午後嘉義以南地區及其他山區有局部短暫雷陣雨;氣溫方面,東半部高溫約31、32度,西半部高溫32至35度,其中在雙北、雲林、臺南...
國慶連假第2天,全台還是相當炎熱!今天帶大家來到新北九份走走,天氣非常好,萬里無雲,連假期間,很多人都會來這裡逛逛,提醒您,出門記得防曬,因為今天在局部地區,可能達37、38度高溫。氣象署已經針對多個...
即時連假第2天,因為太平洋高壓增強,今天全台還是非常炎熱,雙北、台南及屏東,局部高溫可能達到36度左右或以上,熱傷害氣象署也持續發布高溫警報,尤其新北市,甚至有38度極端高溫出現的機率,提醒您小心熱傷...
明(11)日天氣跟今天類似,各地仍為晴到多雲的天氣,只有在基隆北海岸、東北部地區及恆春半島有零星短暫陣雨,午後嘉義以南地區及其他山區有零星短暫雷陣雨;氣溫方面,東半部高溫31至32度,西半部高溫32至...
東北季風減弱,基隆北海岸、東半部、大台北地區、恆春半島及馬祖有局部零星降雨,西半部多雲到晴,雨區上午後苗栗以南的山區、南部地區有一些陣雨,但整個雙十連假天氣都很不錯,明(11)日的部分主要還是基隆北海...
明(10)日東北風影響,迎風面有地形性降雨,基隆北海岸、東北部地區及恆春半島有局部短暫陣雨,花、東及大臺北地區有零星短暫陣雨,其他地區為多雲到晴,午後嘉義以南地區及其他山區有局部短暫雷陣雨;氣溫方面,...
哈隆颱風暴風圈掃過日本伊豆諸島上空,狂風暴雨侵襲八丈島,汽車被強風掀翻,超過5000戶住家停電。日本氣象廳表示,八丈島最高風速達到每秒54.7公尺,6小時雨量則達到282.5毫米,打破觀測紀錄,呼籲民...
今(9)日環境仍吹東北季風,迎風面基隆北海岸、宜蘭地區及恆春半島偶有局部短暫陣雨,花東及大臺北地區亦有零星降雨機率,而其他地區為多雲到晴,午後南部地區及苗栗以南山區也有小範圍的雷陣雨發展;溫度方面,迎...
今(9)日環境仍吹東北季風,迎風面基隆北海岸、宜蘭地區及恆春半島偶有局部短暫陣雨,花東及大臺北地區亦有零星降雨機率,而其他地區為多雲到晴,午後南部地區及苗栗以南山區也有小範圍的雷陣雨發展;溫度方面,迎...
明(9)日仍吹東北季風,迎風面基隆北海岸、宜蘭地區及恆春半島偶有局部短暫陣雨,花東及大臺北地區亦有零星降雨機率,而其他地區為多雲到晴,午後南部地區及苗栗以南山區也有小範圍的雷陣雨發展;溫度方面,迎風面...
要到日本觀光的朋友要注意了,根據日本氣象廳預測,第22號颱風哈隆,可能在這兩天直撲日本,日本媒體報導,颱風哈隆可能在8日晚間逼近東京都管轄的伊豆群島,到9日早上為止,將在強度沒有減弱的情況下直撲八丈島...
今(8)日東北季風影響,不過強度偏弱,迎風面基隆北海岸、宜蘭地區及恆春半島偶有局部短暫陣雨,花東及大臺北山區亦有零星降雨機率,其他地區則為晴到多雲,午後南部地區及苗栗以南山區有小範圍的局部短暫雷陣雨;...
今(8)日東北季風影響,迎風面水氣略多,基隆北海岸、宜蘭地區及恆春半島不定時會有局部短暫陣雨,花蓮、臺東地區及大臺北山區也有零星短暫陣雨,西半部地區大多為多雲到晴,午後中南部地區有小範圍的局部短暫雷陣...
明(8)日東北季風影響,迎風面水氣略多,基隆北海岸、東北部地區及恆春半島不定時會有局部短暫陣雨,花蓮、臺東也有零星短暫陣雨,西半部大多為多雲到晴,午後中南部地區有小範圍的局部短暫雷陣雨;溫度方面,冷空...
中國央視5日《新聞聯播》後的天氣預報出現嚴重錯誤,當日南方多地仍持續高溫天氣,但天氣預報當天的最高氣溫僅約20度,讓不少收看預報的觀眾相當傻眼。對此,該節目的負責單位中國氣象局直屬企業華風氣象傳媒集團...
今(7)日各地大多為多雲到晴,午後中南部地區有局部短暫雷陣雨,隨著東北季風增強,迎風面水氣逐漸增多,晚起基隆北海岸、宜蘭地區、恆春半島及大臺北山區有局部短暫陣雨,花東地區也有零星短暫陣雨;溫度方面,東...
明(7)日東北風增強,基隆北海岸、宜蘭地區、恆春半島及大臺北山區轉為有局部短暫陣雨的天氣,花東地區也有零星的降雨機率,其他地區為多雲到晴,午後中南部地區有局部短暫雷陣雨;溫度方面,東半部高溫31至32...
今(6)日是中秋節,天公做美,各地都是晴到多雲的好天氣。不過要注意高溫炎熱。至於在午後,仍有短暫陣雨,或雷雨機會,嘉義以南至屏東,局部偶有較大雨勢,東半部及西半部,局部地區也有降雨發生機會。不過到了晚...
今(5)日各地大多為多雲到晴,午後中南部地區及其他山區有局部短暫雷陣雨,西半部高溫普遍在35至36度,東半部高溫31至32度,其中大臺北、桃園及中南部地區有局部36度以上高溫發生的機率,中午前後紫外線...
連假第一天,想要出遊!去東半部的話,要注意!受到颱風外圍雲系影響,台東地區及恆春半島,會有局部短暫陣雨或雷雨,花蓮及屏東地區,也有局部短暫陣雨,但其他地區,都是多雲到晴的的天氣!外出要注意高溫,今天新...
今(4)日臺東及恆春半島受颱風外圍雲系影響,有局部短暫陣雨或雷雨,並有較大雨勢發生的機率,請多加留意,花蓮、屏東地區有局部短暫陣雨,其他地區仍為晴到多雲,午後各山區有零星短暫雷陣雨;各地高溫普遍在31...
明(4)日臺東及恆春半島受颱風外圍雲系影響,有局部短暫陣雨或雷雨及較大雨勢發生的機率,請多留意,花蓮、屏東地區有局部短暫陣雨,其他地區仍為晴到多雲,午後各山區有零星短暫雷陣雨;各地高溫普遍在32至36...
今(3)日受颱風外圍雲系影響,花蓮、臺東及屏東會有局部短暫陣雨,臺東及恆春半島降雨較明顯,時間愈晚機率愈高,有雷雨及局部較大雨勢發生的機率,請多留意,至於高雄以北及宜蘭仍為多雲到晴,午後山區有局部短暫...
明(3)日受到颱風外圍雲系影響,臺東及恆春半島會轉為有短暫陣雨或雷雨的天氣,並有局部較大雨勢發生的機率,花蓮及屏東地區也有局部短暫陣雨,其他地區仍為多雲到晴,午後山區有局部短暫雷陣雨;溫度方面,各地高...
熱帶性低氣壓TD24今(2)日上午增強為輕颱「麥德姆」,根據最新路徑圖顯示,「麥德姆」不會侵襲台灣,不過受到颱風外圍雲系影響,明(3)、後(4)兩日,花東、屏東有局部短暫陣雨,其他地區影響較小,而中秋...
今(2)日持續受到太平洋高壓影響,各地大多為晴到多雲,山區午後有零星短暫雷陣雨,清晨東南部地區及恆春半島亦有零星短暫陣雨;氣溫方面,各地高溫約32至35度,其中大臺北、桃園及臺中地區有局部36度以上高...
明(2)日天氣跟今天類似,受到太平洋高壓影響,各地大多為晴到多雲,午後山區有零星短暫雷陣雨,清晨東南部地區及恆春半島亦有零星短暫陣雨;溫度方面,各地高溫約32至35度,其中大臺北、桃園及臺中地區有局部...
今(1)日太平洋高壓勢力較強,天氣相對穩定,各地大多為晴到多雲,午後嘉義以南地區及其他山區有零星短暫雷陣雨;溫度方面,各地高溫約31至35度,其中大臺北地區有局36度以上高溫發生的機率,中午前後紫外線...
今(1)日太平洋高壓勢力較強,天氣相對穩定,各地大多為晴到多雲,午後南部地區及其他山區有零星短暫雷陣雨;溫度方面,西半部高溫約33至35度,東半部約29至31度,其中大臺北地區有局部36度以上高溫發生...
明(1)日太平洋高壓勢力較強,天氣相對穩定,各地大多為晴到多雲,午後南部地區及其他山區有零星短暫雷陣雨;溫度方面,西半部高溫約33至35度,東半部約29至31度,其中大臺北地區有局部36度以上高溫發生...
今(30)日太平洋高壓勢力較強,天氣相對穩定,各地大多為晴到多雲,午後南部地區及其他山區有局部短暫雷陣雨,中南部山區有局部大雨發生的機率,中午過後外出請留意天氣變化並且攜帶雨具以備不時之需;溫度方面,...
明(30)日各地大多為晴到多雲,午後南部地區及其他山區有局部短暫雷陣雨,中南部山區有局部大雨發生的機率,中午過後外出請留意天氣變化並且攜帶雨具備用,清晨西半部地區亦有零星短暫陣雨;溫度方面,各地高溫約...
今(29)日各地大多為晴到多雲,午後西半部地區及其他山區有局部短暫雷陣雨,中午過後外出請留意天氣變化並且攜帶雨具備用,晚起西半部地區亦有零星短暫陣雨;溫度方面,各地高溫約31至35度,尤其在大台北及中...
今(29)日各地大多為晴到多雲,午後西半部地區及其他山區有局部短暫雷陣雨,中午過後外出請留意天氣變化並且攜帶雨具備用,晚起西半部地區亦有零星短暫陣雨;溫度方面,各地高溫約31至35度,尤其在大臺北及中...
颱風「博羅依」侵襲菲律賓,造成至少13人死亡,截至當地時間昨(27)日深夜,仍有2萬多人在收容所避難。遭受重創的「瑪斯貝特省」,宣布進入災難狀態。9月下半月以來,菲律賓接連遭受3個颱風侵襲,全國受災人...
今天即時影像來到淡水漁人馬頭,看起來天氣很不錯,確實今天台灣大多是多雲到晴,氣溫平均來到32到36度,高溫炎熱,不過基隆北海岸、東半部地區及恆春半島有零星短暫陣雨,午後中南部地區及其他山區有局部短暫雷...
強颱樺加沙為台灣東部地區帶來災情,目前都還在持續修復、整理中。不過氣象專家林得恩表示,從歐洲跟美國的模式來看,顯示在中秋節前後,熱帶擾動依舊活躍,至少還會有1到2個颱風有生成的機會,至於對台灣的影響還...
颱風目前在台灣附近海面2個颱風,「博羅依」朝越南方向前進,另一個「浣熊」在日本東方海面活動,對台灣天氣都沒有影響。今天持續受到太平洋高壓影響,各地都是多雲到晴的好天氣,高溫資訊今天各地高溫大約32到3...
今(27)日各地天氣炎熱,氣象署也在中午11點32分,針對11個縣市發布高溫特報。氣象署指出,今天白天新北市為橙色燈號,有38度極端高溫出現的機率;而台北市、桃園市、新竹縣跟部分中南部地區,也都呈現黃...
今天是教師節、3天連假的第1天,受太平洋高壓影響,晴朗、高溫炎熱的天氣再次回歸!氣象署針對台北、桃園、新竹縣、台中、彰化、雲嘉南高屏,發布高溫36度的黃色燈號!新北市則是連續36度以上的橙燈!特別是3...
連假台天氣偏向夏季型態。各地大多為多雲到晴,僅基隆北海岸、東半部及恆春半島有零星短暫陣雨,午後南部地區及山區,有局部雷陣雨發生。白天氣溫仍偏高,西半部地區有機會出現36度以上高溫。周日高壓勢力略為減弱...
今(26)日晚至明(27)日水氣減少,各地大多為多雲到晴,基隆北海岸、東半部地區及恆春半島有零星短暫陣雨,午後南部地區及其他山區有局部短暫雷陣雨,由於連日降雨,山區土石較為鬆動,前往山區活動請特別注意...
今(26)日環境吹偏東風,迎風面的基隆北海岸、大臺北、東半部及屏東地區有不定時局部短暫陣雨,其他地區為多雲到晴,午後山區有局部短暫雷陣雨。...
今(26)日環境吹偏東風,迎風面的基隆北海岸、大臺北、東半部及屏東地區有不定時局部短暫陣雨,其他地區為多雲到晴,午後山區有局部短暫雷陣雨,由於連日降雨,山區土石較為鬆動,前往山區活動請特別注意坍方、落...
明(26)日各地大多為多雲到晴,環境吹偏東風,迎風面的基隆北海岸、東半部地區、恆春半島及大臺北山區有局部短暫陣雨,午後山區有局部短暫雷陣雨,連日降雨,山區土石較為鬆動,前往山區活動請特別注意坍方、落石...
今(25)日第18號颱風遠離,臺灣附近風場為偏東至東南風,水氣減少,各地大多為晴到多雲,東南部地區及恆春半島有局部短暫陣雨,午後山區有局部短暫雷陣雨,連日降雨,山區土石較為鬆動,前往山區活動請特別注意...
今(25)日第18號颱風遠離,臺灣附近風場為偏東至東南風,水氣減少,各地大多為晴到多雲,東南部地區及恆春半島有局部短暫陣雨,午後山區有局部短暫雷陣雨,連日降雨,山區土石較為鬆動,前往山區活動請特別注意...
今(25)日第18號颱風遠離,臺灣附近風場為偏東至東南風,水氣減少,各地大多為多雲到晴,東南部地區及恆春半島有局部短暫陣雨,基隆北海岸、東北部及東部地區亦有零星短暫陣雨,午後山區有局部短暫雷陣雨,連日...
明(25)日18號颱風遠離並減弱,風向為偏東至東南風,水氣減少,各地大多為多雲到晴,東南部地區、恆春半島及澎、金、馬有局部短暫陣雨,基隆北海岸、東北部及東部地區亦有零星短暫陣雨,午後山區有局部短暫雷陣...
今(24)日受第18號颱風外圍環流影響,水氣仍偏多,環境為偏南至東南風,花、東地區及恆春半島有不定時陣雨或雷雨,並有大雨或局部豪雨發生的機率,東北部及中南部地區仍有局部短暫陣雨或雷雨,北部地區為多雲,...
受到颱風「樺加沙」外圍環流影響,東部從22日開始就連日降下大雨,昨(23)日更發生花蓮馬太鞍溪堰塞湖溢流,釀成14人罹難、34人受傷,另有124人失蹤。花蓮光復鄉災區正在全力救援中,不過中央氣象署上午...
又是三颱共舞!根據氣象署資料顯示,輕颱「博羅依」今(24日)晨誕生了,氣象專家林得恩指出,後續「博羅依」穩定朝西北方向前進,在經過菲島陸地後,進入南海,對台灣應為無害的颱風,並預估明(25)日恢復穩定...
明(24)日受第18號颱風外圍環流影響,水氣仍偏多,環境為偏南至東南風,花、東地區及恆春半島有不定時陣雨或雷雨,並有大雨或局部豪雨發生的機率,東北部及中南部地區仍有局部短暫陣雨或雷雨,北部地區為多雲,...
今(23)日仍受第18號樺加沙颱風及其外圍環流影響,迎風面的東半部地區、恆春半島及高屏山區雨勢仍持續,易有大雨或豪雨,尤其花蓮、臺東地區及東北部、高屏山區有局部豪雨等級以上降雨發生的機率,西半部出現短...
強颱「樺加沙」於今(23)日上午8時30分解除陸上颱風警報,但受到外圍環流影響,氣象署針對花蓮縣山區、台東縣山區及屏東縣山區發出超大豪雨特報,另外在花蓮縣地區、台東縣地區及高雄市山區、宜蘭縣山區則發出...
被認為是今年「地表最強」風王、強颱「樺加沙」昨(22)日傍晚達到生命最巔峰狀態。衛星觀測之下它呈現完美的對稱結構及清晰的颱風眼,被形容是「史詩級」美景。結構如此紮實,專家表示,還好它的路徑偏離,否則災...
根據氣象署今(23)日最新資料顯示,強颱「樺加沙」目前位在鵝鑾鼻西南方海面,向西北西進行,屏東地區已脫離其暴風圈,對恆春半島仍構成威脅。氣象專家林得恩則提醒,注意樺加沙「回南風!」指出今日局部大豪雨或...
今晚至明(23)日持續受樺加沙颱風及其外圍環流影響,迎風面的東半部地區雨勢顯著,花東地區及宜蘭、高屏山區要特別注意可能有豪雨等級以上的降雨發生;由於颱風外圍環流範圍寬廣,天氣不穩定,各地都有降雨機會,...
強颱「樺加沙」來勢洶洶,宜蘭午後開始降下狂風暴雨,不只羅東跟南澳大雨不停,就連蘇澳新站外的馬路也有部分積水,除了雨勢之外,風勢也不容小覷,今(22)日上午在三星舉行的全運會輕艇比賽,裁判區的七頂帳篷,...
樺加沙颱風逼近,強勁的外圍環流為台灣東半部帶來強勁雨勢,而台東的居民稍早更收到國家級警報,要警戒的就是超過6公尺的巨浪。在太麻里鄉這邊,有鄰近民眾想親眼見證,拿起手機錄影,結果被巨浪給嚇到驚慌逃命,畫...
強烈颱風「樺加沙」即將通過巴士海峽,對台灣造成影響!中央氣象署昨(21)日上午11點和台大及漢翔公司合作,從台中清泉崗機場,出動噴射機執行飛機「投落送」颱風觀測。過程歷時約4小時,順利取得樺加沙颱風最...
強烈颱風樺加沙挾帶強風豪雨,中午暴風圈觸及恆春半島陸地,墾丁地區午後風強雨驟,南灣浪高4米以上,香蕉灣也有大浪一波波,越過防波堤衝上柏油路面,也讓海面路面連為一體,場面驚險。而在陸地上風雨感受也十分明...
樺加沙颱風來襲,不只沿海風浪明顯增強,在綠島以及小琉球外海,都有民眾目擊,看到水龍捲。它貫穿雲層,而且不斷快速移動,至少維持了十多分鐘。專家指出,水龍捲在環境不穩定等情況下就容易生成。氣象署提醒,隨著...
超級颱風樺加沙,菲律賓時間22日下午3點左右,已在呂宋島北部的卡加延省登陸;不過登陸前,當地風雨就大到誇張,風勢強到讓人站不起來,濱海地區也掀起巨浪,目前已有部分地區傳出淹水和停電。菲律賓政府警告,樺...
強烈颱風樺加沙也步步進逼菲律賓,而且有可能在今(22)日下午登陸,當局緊急將超過2700位居民撤離家園。可以看到樺加沙颱風已為菲律賓北部卡加延地區帶來狂風暴雨。菲律賓氣象局預測,樺加沙颱風可能會從北部...
被封為風王的「樺加沙」,預估恐怕會狂吹17級陣風。不少停放在台東富岡漁港邊的機車,不敵前一晚的風勢,倒的倒歪的歪,海浪越過堤防,周邊還因此淹水。而向來有「風城」之稱的新竹,也開始出現風勢。一塊空地的水...
第18號強烈颱風樺加沙(國際命名RAGASA)今、明兩日是影響臺灣最明顯的時候,暴風圈今天上午開始會逐漸接觸到蘭嶼、恆春半島、臺東及高屏地區,其他地區雖然不在暴風圈內,但由於颱風外圍環流寬廣,風雨也會...
說到這個強颱樺加沙,它還被稱為怪物颱風,主要就是在於它的近中心風速很強,還有暴風圈相當寬廣,專家都說很罕見,更何況他還持續長胖,可能會以巔峰姿態接近台灣。颱風眼清晰可見,眼牆對稱又完整,樺加沙幾乎是以...
颱風「樺加沙」暴風圈已經在今(22)日上午11點接觸南端陸地,今、明兩日影響台灣最明顯。而受到「樺加沙」及其外圍環流影響,全台各地易有短延時強降雨,中央氣象署表示,今日蘭嶼、綠島、恆春半島、花蓮縣地區...
今(22)日樺加沙颱風及其外圍環流影響,基隆北海岸、東半部地區及恆春半島雨勢將逐漸加大,有局部大雨或豪雨發生的機率,桃園以北、高屏地區及新竹至臺南山區也有間歇的局部短暫陣雨,其他地區為多雲;晚上開始雨...
強颱樺加沙步步進逼,各地農漁民都忙著防颱,就怕心血全泡湯。像在屏東縣,有養殖業者強化魚塭岸壁及疏通排水設施;雲林的木瓜農加固及確認網室防風。而在宜蘭縣的三星鄉,蔥農也憂心忡忡,巡視蔥田之外,也透露蔥價...
隨著樺加沙颱風步步逼近,首當其衝的南台灣屏東恆春地區,民眾不敢掉以輕心,今(21)日下午半潛艇觀光船業者提早結束載運,將船隻牢牢捆綁在碼頭邊之外,當地麵攤以及海上遊憩業者,也都趁著颱風來臨前做好防颱準...
樺加沙升級成強烈颱風,甚至有機會挑戰今年的風王,因為根據氣象署預估,它的中心風速最顛峰上看每秒58公尺,可能追平2021年的燦樹颱風,而且不只迎風面的東部跟南部,就連北部跟西部,也可能因為風場的角隅效...
今(21)日受第18號樺加沙颱風外圍雲系影響,基隆北海岸、大臺北及宜蘭、花蓮有局部短暫陣雨,桃園及臺東也有零星降雨,雨勢愈晚會愈明顯,新竹以南則為多雲到晴,午後中南部有局部短暫雷陣雨,其中嘉義以南有局...
今(21)日受第18號樺加沙颱風外圍雲系影響,基隆北海岸、大臺北及宜、花地區有局部短暫陣雨,桃園及臺東地區有零星短暫陣雨,其他地區為多雲到晴,午後中南部地區有局部短暫雷陣雨,嘉義以南地區有局部大雨發生...































































































































































































