綜合報導 / 台北市
說到這個強颱樺加沙,它還被稱為怪物颱風,主要就是在於它的近中心風速很強,還有暴風圈相當寬廣,專家都說很罕見,更何況他還持續長胖,可能會以巔峰姿態接近台灣。
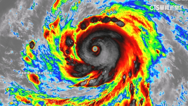
颱風眼清晰可見,眼牆對稱又完整,樺加沙幾乎是以巔峰狀態逼近,目前最大風速還追平,去年魔羯颱風紀錄,被稱為「怪物」等級不是沒有原因,2018年強颱山竹重創港澳,強風豪雨導致近千人死傷當時山竹颱風暴風圈寬廣,環流結構也相當紮實,這回樺加沙還在持續長胖,無論是路徑強度都與山竹類似,致災風險不可輕忽。
氣象專家賈新興說:「這個樺加沙颱風,中心最大風速,過去其實有滿多颱風都比它強,但是七級暴風半徑,要比它大,十級暴風半徑,要比較大的,相對是很少。」回顧過去十年內的強颱,包含2016年莫蘭蒂颱風,2018的山竹與玉兔颱風,還有去年的萬宜,近中心最大風速每秒60公尺,相當於17級的強陣風,持續增強的樺加沙,有機會成為10年內第5個,中心風速達到60的強颱,而這樣的暴力颱風,會不會越來越頻繁。
氣象專家賈新興說:「2013,2014,2015,16,還有在2018這幾年,其實出現比較強的颱風,是有相對比較多一點點,不過呢,其實它可能是比較屬於一種,短期的氣候現象。」
專家直言像樺加沙一樣,暴風圈寬廣中心風速又強,以歷史來看已經很罕見,上一個這麼凶猛,又靠近台灣的颱風,要追溯到,近30年前的強颱賀伯,當時它的七級風暴風半徑,就來到350公里,造成嚴重災情,讓台灣人印象深刻,如今暴風半徑320公里的樺加沙,還再增強有機會挑戰紀錄,絕對不能掉以輕心。
新聞來源:華視新聞





讀者迴響