吳欣蓉 綜合報導 / 台北市
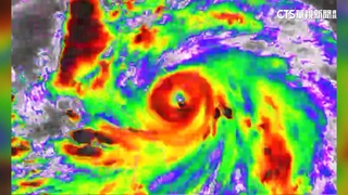
「TD21不是吃素的!」氣象專家林得恩指出,位在關島附近海面的準颱風「樺加沙」,推測至少可達中度至強烈颱風等級之間,預計21日晚間發布海上颱風警報;22日發布陸上颱風警報;22至24日最靠近臺灣陸地,也是風雨浪影響最大時段。
林得恩表示,本週內前後,將會有2個熱帶擾動系統有機會經過台灣附近或影響天氣,尤其是在關島附近海面的TD21,未來強度也將逐漸增強,由於經過環境垂直風切小的海域(約10-15節),加上海面溫度溫暖(可達攝氏30-31度),且高空向赤道的外流氣流良好,各國主流預報模式均認為它發展強度至少可達中度颱風至強烈颱風等級之間。後續將循環境駛流場的導引下,向西前進移動,且颱風環流範圍也相當寬廣、雨帶相當結實,對台灣天氣會有影響。
林得恩指出,若移動方向、移動速度及強度變化不改變的話,預計21日晚間,發布颱風海上颱風警報;22日緊接著發布颱風陸上颱風警報。22至24日最靠近台灣陸地,也是風雨浪影響最大時段,請加強注意!
氣象署也指出,第20號熱帶性低氣壓,清晨2時位於鵝鑾鼻南南西360公里的海面上,未來有發展為輕度颱風趨勢,以西北方向朝廣東前進,直接影響台灣機率低;第21號熱帶性低氣壓,未來也有發展為颱風的趨勢,清晨2時位於鵝鑾鼻東南東方1580公里的海面上,以西北方向朝巴士海峽前進,預計22日將開始接近台灣,有機會增強為中度颱風,暴風半徑可以來到200公里以上,有機會直接影響台灣天氣。
氣象署也透露,今清晨2時形成的第22號熱帶性低氣壓,台北東方4500公里之海面上,向西往日本方向進行,未來有發展為輕度颱風趨勢。
而今(18)日受第20號熱帶性低氣壓或颱風外圍環流影響,台東及恆春半島出現陣雨或雷雨的時間增多,並有局部大雨或豪雨機率,南部及東部則有短暫陣雨或雷雨,東北部也有零星短暫陣雨,中部以北仍為多雲午後局部短暫雷陣雨的天氣,新竹至台南有局部大雨機率。
溫度方面,花東雲多下雨,高溫約29至31度,其他地區仍炎熱,高溫約32至35度,桃園以北有較廣泛的36度以上高溫,新北甚至有局部38度左右極端高溫發生的機率,新竹至雲林也有局部36度左右高溫,中午前後紫外線偏強,戶外活動注意防曬,並多補充水分,避免熱傷害。
新聞來源:華視新聞





讀者迴響