綜合報導 / 菲律賓
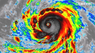
超級颱風樺加沙,菲律賓時間22日下午3點左右,已在呂宋島北部的卡加延省登陸;不過登陸前,當地風雨就大到誇張,風勢
樹木被吹到折腰,拍攝影片的人嚇到忍不住大叫,風力大到鐵皮屋頂也撐不住,在空中翻了一圈才掉到地面,民眾則在路旁被吹到站不起來,超級颱風樺加沙22日已在菲律賓帶來強風豪雨,呂宋島北部的卡加延省和巴布延群島,帶來超大風雨降雨宛如用倒的,海邊也掀起巨浪部分低窪地區已經進水,風勢也大到當地媒體記者,連線都聽不清楚。
菲律賓主播VS.記者說:「尼可聽得見嗎,聽得到我說話嗎尼可,聽到了康妮,只是風太大了。」菲律賓氣象單位偵測,樺加沙22日下午2點,中心最大持續風速已達每小時215公里,陣風則達每小時295公里,政府部門則警告,樺加沙會帶來危及性命的風雨,要危險地區緊急撤離。
菲律賓記者說:「根據卡加延省,減災管理辦公室最新報告,超過2700個家庭,受到超級颱風樺加沙影響,目前卡加延省各城鎮,疏散中心的人數已達2100人,總計超過6800名避難民眾。」
到22日撤離人數已經達上萬人,首都馬尼拉以及29個省分,也擔心降雨量太大,宣布公家機關和學校停班停課一天,菲律賓總統小馬可仕指示全力備戰,避免爆發洪災不過前一天,群眾才因為不滿菲律賓政府,爆出防洪計畫造假的醜聞,走上馬尼拉街頭抗議,警民一度爆發激烈衝突,樺加沙帶來的風雨不但考驗防災準備,也考驗菲律賓政府有沒有辦法平息民怨。
新聞來源:華視新聞





讀者迴響